$$799,000
53 Meadow Farm Road Centerville
Barnstable, MA, 02632
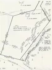
Very large, private wooded acre+ lot with estate setting and stonewall gated entrance overlooking cranberry bog in lovely well-established 10 lot subdivision on dead end street, developed, designed, and built by Seminara Construction & Realty, professionally maintained common areas, sidewalks & streetlights. Surrounded by conservation conservancy area. Located south of Rt. 28, close to Centerville village, Craigville Beach, restaurants & golf.
Property Details
Price:
$799,000
MLS #:
22402904
Status:
Active
Beds:
0
Baths:
0
Type:
Land
Subtype:
Single Family Residence
Listed Date:
Jun 19, 2024
Lot Size:
44,431 sqft / 1.02 acres (approx)
Schools
School District:
Barnstable
Interior
Exterior
Financial
Tax Year
2024
Taxes
$4,315
Mortgage Calculator
Map
Similar Listings Nearby
53 Meadow Farm Road Centerville
Barnstable, MA


